L-Armata Sirjana qalet li ajruplani militari Iżraeljani kienu wettqu attakki fil-Punent tas-Sirja. Dan fost rapporti minn sorsi fl-inħawi li fil-mira kien hemm fabbrika...
Category - Internazzjonali
L-amministrazzjoni ta’ Facebook qalet li skopriet kampanja ffinanzjata mir-Russja biex tippromwovi l-messaġġi soċjali u politiċi diviżivi fuq Facebook. Il-kumpanija...
Il-Gvern tal-Ażerbajġan fetaħ kawża ta’ libell bla preċedent fl-istorja ta’ Franza. Kawża kontra żewġ ġurnalisti li kienu ddeskrivew il-pajjiż bħala dittatorjat...
Illum fir-Russja se jasal Shinzo Abe, il-Prim Ministru Ġappuniż għal taħditiet mal-President Russu Vladimir Putin dwar il-kriżi Koreana. Dan fl-istess ħin li Itsunori...
George se jattendi fl-iskola privata Thomas’s Battersea
Il-Papa Franġisku, l-Erbgħa beda vjaġġ ta’ ħamest ijiem fil-Kolombja. Vjaġġ li fil-bidu tiegħu appella biex il-pajjiż issa jsib paċi aħħarija wara li ftit ġranet ilu...
Ġurnata wara li bassar diżastru kbir għad-dinja jekk tfaqqa’ gwerra fil-peniżola Koreana, il-President Russu, Vladimir Putin, qal li aktarx se jkun impossibbli li wieħed...
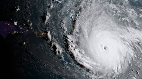
Fil-Karibbew kif ukoll fl-Istati Uniti, qed isiru t-thejjijiet għall-impatt tal-Uragan Irma, l-aktar uragan qawwi fl-Oċean Atlantiku f’dawn l-aħħar għaxar snin u wieħed...
It-tobba fl-Italja qed jitrattaw il-mewt ta’ tifla ta’ erba’ snin b’kaġun tal-malarja bħala każ misterjuż għall-aħħar. It-tifla, Sofia Zago, mietet fi Brescia matul il...

